Koniec chátrania. Hasičská stanica na Radlinského sa konečne dočká obnovy, hľadá sa zhotoviteľ dokumentácie
Mnoho ľudí denne prechádza okolo budov na Radlinského 6 a Mickiewiczovej 7 netušiac, že pre celé centrum mesta sú nesmierne dôležité. Historické domy v sebe totiž skrývajú hasičskú stanicu. Jej zlý stav je však viditeľný každému. Našťastie, v dohľadnej dobe by malo dôjsť k rekonštrukcii, keďže Ministerstvo vnútra SR už hľadá zhotoviteľa dokumentácie.
Zdroj: Google StreetView
Prítomnosť hasičského zboru v meste bola vždy mimoriadne dôležitá. V minulosti, keď boli domy z podstatnej časti postavené z dreva a neexistovali prísne protipožiarne normy, bola zástavba náchylná na požiare, čo si zo strany mesta vyžadovalo seriózny prístup k riešeniu potenciálnej katastrofy. Na konci 19. storočia boli preto na Radlinského ulici postavené dom a zbrojnica Prešporského dobrovoľného hasičského zboru.
Podľa dobového historika Tivadara Ortvaya boli dobre zariadené a vybavené, pričom vyzdvihuje architektúru aj množstvo techniky, ktoré mali hasiči k dispozícii. Príslušníci zboru boli v problematike vzdelaní a výrazne sa podieľali na udržiavaní bezpečnosti v meste aj ochrane majetku pri katastrofách.
Nanešťastie, za dlhé desaťročia bez komplexnej rekonštrukcie došlo k výraznému znehodnoteniu areálu a k zhoršeniu stavu jednotlivých objektov v ňom. Ministerstvo vnútra SR, ktoré stanicu spravuje od roku 2012, konštatuje, že stanica má vážne statické poruchy, je morálne a fyzicky zastaraná a nedostatočne vyhovuje súčasným nárokom na prevádzku. Časti areálu sú dokonca v havarijnom stave.
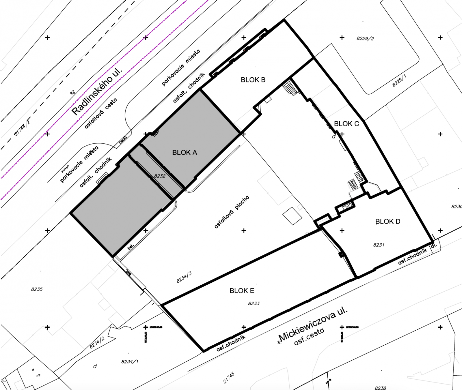
Týka sa v určitom ohľade všetkých blokov, ktoré stanicu tvoria. V prípade bloku A pri Radlinského ulici, kde je aj hlavný vstup do areálu, je konštatovaná deštrukcia muriva, ríms, vlhkosť omietok, prítomnosť plesní a celkovo zlý stav fasád. Pri bloku B na Radlinského sú zas z piatich služobných bytov používané len tri.
Blok C, teda dvorová vežička, má nevyhovujúce výplne okenných konštrukcií, klampiarske konštrukcie, fasádu či schodisko. Lezecká stena vnútri veže sa nepoužíva. Mnoho problémov majú aj prístavby k veži, kde sú poškodené okná, fasády a klampiarske konštrukcie.
Bloky D a E sú orientované do Mickiewiczovej. V prvom prípade je konštatované statické poškodenie časti stropu v jednom zo služobných bytov, znehodnotenie soklov, pôvodnej fasádnej výzdoby a okien (čiastočne aj v dôsledku používania gamatiek), pričom kvôli absencii sklených výplní do objektu prenikajú holuby. V bloku E, ktorý pochádza z 18. storočia, je problém najmä s vlhkosťou stien nad soklom či opadanou omietkou, čo spôsobuje problémy odhalenej tehle.
Je tak jasné, že úvahy o rekonštrukcii prichádzajú v najvyšší čas. Ministerstvo vnútra SR chce komplexnú stavebno-technickú obnovu celej stanice, ktorej súčasťou bude najmä odstránenie vlhkosti a zaplesnenia stien, odstránenie statických porúch a neodborných zásahov do krovu, nosných a deliacich konštrukcií, výmena rozvodov vody, kanalizácie či sanitárneho vybavenia či výmena rozvodov ústredného kúrenia. Taktiež sa bude meniť elektroinštalácia, slaboprúdové rozvody, domový rozhlas, murárske vysprávky a obnovovať podlaha (príp. aj meniť), vymieňať okná a dvere či meniť náter na zábradliach.
Okrem toho má investor množstvo špecifických nárokov na úpravu jednotlivých blokov. Budovy budú po novom bezbariérové, komfortnejšie pre zamestnancov aj návštevníkov, čiastočne sa budú meniť dispozície alebo funkcie niektorých priestorov, vo veľkom sa budú opravovať fasády, a to aj s prihliadnutím na ich historický výzor a hodnotu.
V tomto smere je veľmi dôležité stanovisko Krajského pamiatkového úradu. Ten požaduje spracovanie návrhu umelecko-remeselnej obnovy uličnej a dvorovej fasády viacerých blokov (A, B a D), citlivý spôsob zatepľovania fasády bloku C (ideálne nezatepľovať) alebo realizovať výplne okenných a dverných otvorov v zmysle pôvodného tvaroslovia. Vo výsledku by tak stanica napriek výraznej modernizácii mala mať podobu, akú mala v čase výstavby jednotlivých blokov.
Ministerstvo vnútra SR plánuje do rekonštrukcie investovať na stavebných nákladoch približne 5,63 miliónov eur s DPH. K tomu ale treba prirátať náklady na spracovanie dokumentácie a autorský dozor. V každom prípade, azda už v priebehu najbližších rokov čaká stanicu výrazné zlepšenie.
Situácia hasičskej stanice na Radlinského. Zdroj: Ministerstvo vnútra SR
S modernizáciou tohto areálu sa zvýši štandard práce hasičov, ktorí sú napriek svojmu prínosu pre spoločnosť konfrontovaní so zlým stavom mnohých staníc aj slabým platovým ohodnotením. Pripravovaný projekt nedostatky aspoň čiastočne zmierni. Z pohľadu okoloidúcich to znamená viditeľné okrášlenie Radlinského i Mickiewiczovej. Objekt B má dokonca potenciál stať sa národnou kultúrnou pamiatkou.
Hasičská stanica na Radlinského každopádne nie je jediná, ktorá by si zaslúžila obnovu. V iných prípadoch zas stanice úplne chýbajú. Plány na ich výstavbu sa rozbiehajú len pomaly. V súčasnosti je potvrdený zámer v Rači na Sklabinskej v susedstve Akadémie Policajného zboru a uvažuje sa nad veľkou a významnou stanicou v Devínskej Novej Vsi na Vápencovej ulici.
Ako budú vyzerať, nie je známe. V zahraničí je však už štandardom, že sa architektúre hasičských staníc venuje veľká pozornosť, čo je dané nielen snahou o vyššiu funkčnosť, optimálnu prevádzku či kvalitné pracovné prostredie, ale aj vzťahom staníc a okolia. Nezriedka totiž ide o významné miesto pre miestne susedstvo, keďže hasiči sú vnímaní ako významní aktéri v živote komunít.
To isté by sa však dalo povedať aj o policajtoch, ktorí taktiež pracujú väčšinou v absolútne nevyhovujúcich a zastaraných priestoroch. Vidiac doterajšie aktivity štátu pri obnove policajných staníc, je nádej na budovanie hasičských staníc v spolupráci s lepšími architektmi len veľmi nízka.
Sledujte YIM.BA na Instagrame.
Sledujte YIM.BA na YouTube.


















